Имоти
Имоти

УПИ за жилищно строителство

Реф. №: 31404
Пловдив, област, с.Крумово

Общ преглед

  • Парцел
  • Тип имот
  • 714

Допълнителни детайли

  • Номер на имота: 31404
  • Цена: € 46,000
    (89,968.18 лв.)
  • Площ: 714
  • Статус на имота: Купи

Размер на кредит

| €

2,500 €

500,000 €

Срок на кредит

| месеца

36 месеца

360 месеца

Лихвен процент

| %

2.45%

5%

Месечна вноска

ГПР %

Общо дължима сума

Действия по вписване на ипотека (Еднократно)

€20.45

Такса за проверка и анализ на обезпечението по кредита (Еднократно)

€204.52

Такса план (Месечно)

€6.13

Такса за оценка на обезпечение (Еднократно)

€120.15

Powered by Credia

Стойност на имота

€46000

Няма данни за наемите в района.

Powered by Credia

Имаш интерес?

Свържи се
с нас

Имаш интерес?

Свържи се
с нас

Обадете се 0877190777

Описание

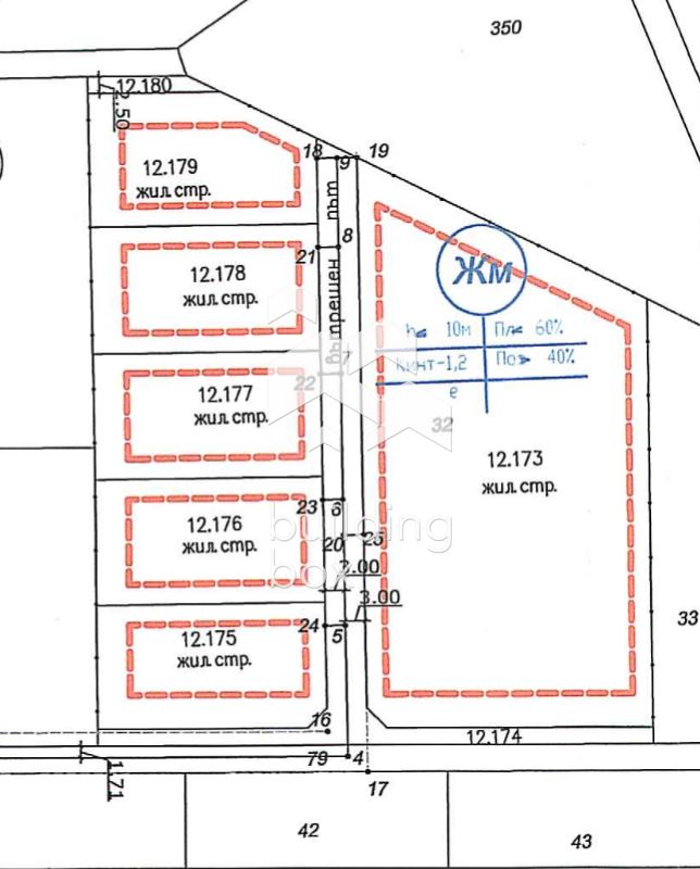
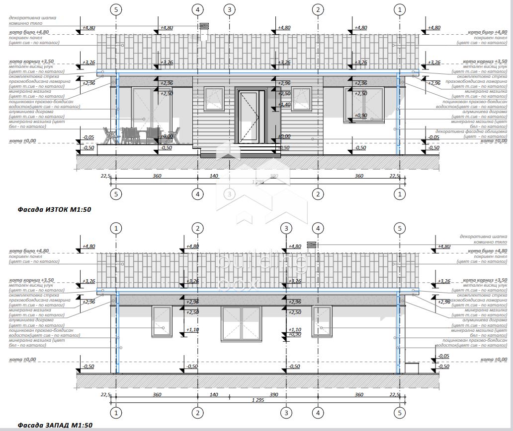
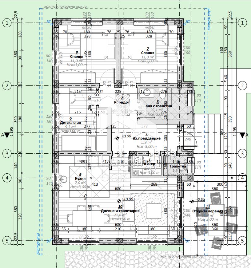
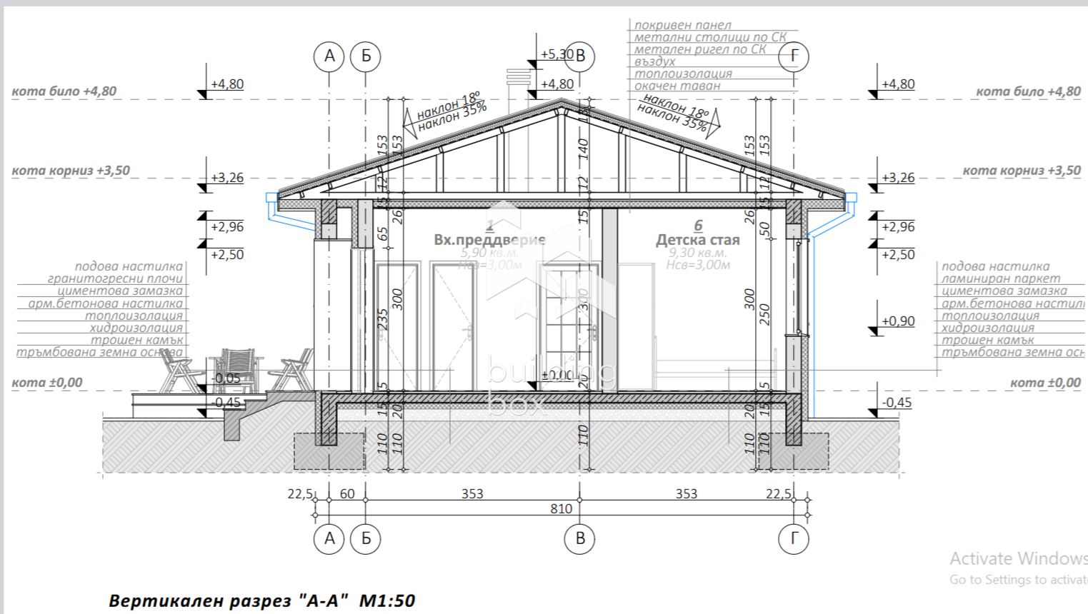
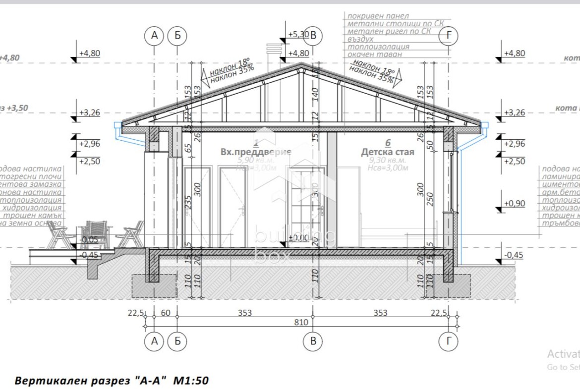
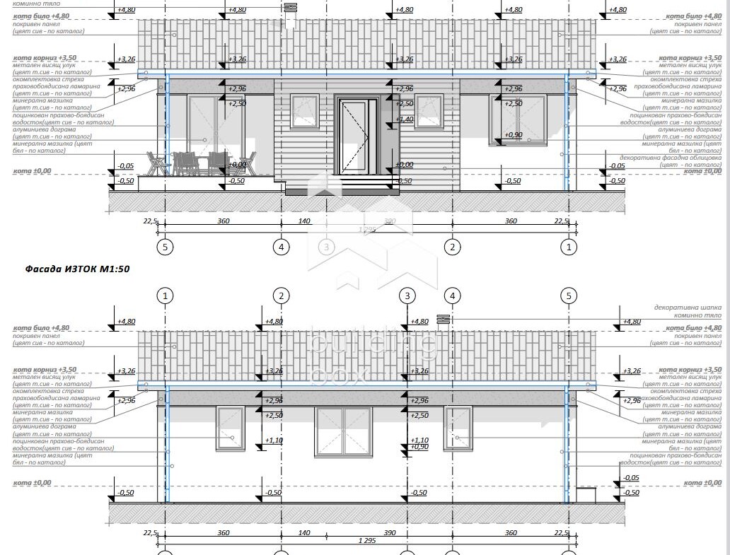
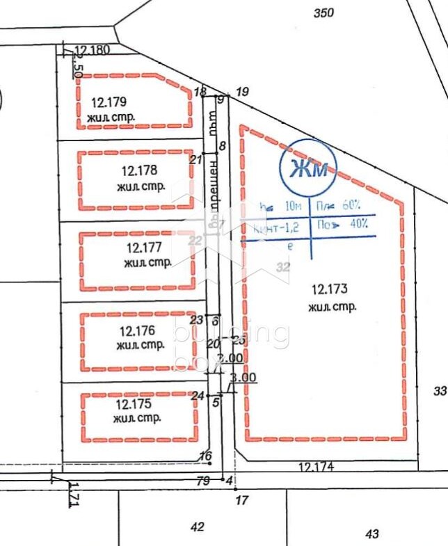
БИЛДИНГ БОКС предлага за продажба 4 бр. УПИ с ток, вода, ограда, разрешение за строеж и проект за едноетажна къща в с. Крумово, само на минути от гр. Пловдив.


Възможност веднага да започнете строеж, отлични параметри и реален потенциал за развитие, разположени в предпочитана зона.

Основни параметри на имотите:

  • Площ: 641 кв. м (чиста площ), 73 кв. м път, общо 714 кв. м
  • Лице към път: 19 м

На 300 метра от асфалтирана улица, с достъп по чакълирана улица. Пред парцелите – трошен асфалт.

Ток, вода, ограда, разрешение за строеж и проект за едноетажна къща.

Всеки от парцелите е ограден.

Общо 4 имота: Има възможност за придобиване на два или повече съседни имота, което позволява обединяване на парцелите и реализиране на по-мащабен проект според нуждите на бъдещия собственик или инвеститор.

Подходящи за:

  • Изграждане на еднофамилна къща за постоянно живеене
  • Реализация на инвестиционен проект
  • Обединяване на парцели и създаване на по-голям жилищен или бутиков комплекс

Имотите предлагат отличен баланс между пространство и възможност за дългосрочно развитие – все по-търсена комбинация в близост до Пловдив.


БИЛДИНГ БОКС осигурява безплатна консултация и съдействие при кредитиране за покупка на имот.

Оферта № 31404

ПОДОБНИ ИМОТИ

ПОДОБНИ
ИМОТИ

Сравняване на списъци

Сравни
Соня Шилева
  • Соня Шилева

Внимание

Академиите в София, Пловдив и Варна се провеждат 3 пъти в годината – в началото на всяка година, на пролет и на есен.

Очаквайте да се свържем с вас, за да се запишете за следващият свободен прозорец.

Най-голямата общност
за имотни инвестиции

7 857 души вече получават достъп до нови,
необявени проекти на занижени цени.